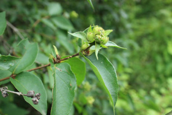
葱皮忍冬的果实能吃吗
葱皮忍冬的果实人类是不可以食用的,葱皮忍冬是一种落叶灌木,适合生长在阳光充足的环境中,一般花期在每年的四月份到六月份,花分白色与黄色,果实在九月份开始生长成熟,果实为红色,鸟类可以食用。
葱皮忍冬的果实可以吃吗
1、不能食用

葱皮忍冬的果实人类是不能食用的,一般是鸟类的食物。葱皮忍冬是一种落叶灌木,一般花期在每年的四月份到六月份,花开两朵,分为白色和黄色,果实成熟在每年的九月份到十月份。
2、生长习性

葱皮忍冬和其他品种的忍冬一样,适合生长在阳光充足的环境当中,阳光不足会导致其生长不良,同时葱皮忍冬的生命力强,具有较强的耐寒能力,在较为湿润且营养物质含量丰富的土壤中生长最为旺盛。
3、主要价值
葱皮忍冬具有一定的药用价值,其花具有清热解毒的功效,可以用于治疗呼吸道感染等症状,同时花中含有绿原酸等成分,服用可以增强人体免疫力、降低胆固醇,还对肿瘤有一定的抵抗作用。
4、养护方法

葱皮忍冬在种植过程中要定期的修剪枝干,以免葱皮忍冬出现徒长现象,定期的修剪还能帮助葱皮忍冬长出更多的新枝条,并且节省养分以至于能开出更多的花。同时还需要对葱皮忍冬适当的施肥,提供生长所需的养分。
网址:https://www.nczfj.com/yzzz/124300.html
[实用知识] 豪猪是一种野生动物,而且它的价值也很高,豪猪的肉质鲜美有丰富的营养成分,豪猪的养殖也是一种重要的特种养殖项目,我们在养殖的过程当中也要清楚豪猪的特点,下面一起来了解一下豪猪生...
[实用知识] 火鸡一般出现在感恩节时,火鸡体型比家鸡大3-4倍,体长110-115厘米。翼展125-144厘米,体重2.5-10.8千克,嘴强大稍曲。属于世界上最重的鸡之一。下面跟360养殖网一起来看看吧! ...
[实用知识] 火鸡苗即火鸡鸡苗,我国主要分青铜火鸡苗,尼古拉火鸡苗和贝蒂纳火鸡苗,青铜和尼古拉火鸡苗,经济效益比一般家禽高出数倍,下面跟360养殖网一起看看火鸡苗的进化史吧! ...
[实用知识] 荷兰白火鸡 原产于荷兰,全身羽毛白色,因而得名荷兰白火鸡。体形与加拿大海布里德中型品系相似,喙、胫、趾为淡红色,皮肤为纯白色或淡黄色。下面跟360养殖网一起来看看荷兰白火鸡吧! ...
![[每日农经]马蜂养殖巧赚钱(上)](https://img.nczfj.com/d/file/2014-03/2/2014031911073877624.jpg)

![种植葡萄效益好一亩出三十万元[每日农经]](https://img.nczfj.com/d/file/2014-10/184/2014100909510430102.jpg)
![种植小艾草大效益年产值十亿元[每日农经]](https://img.nczfj.com/d/file/2014-10/184/2014100913361361970.jpg)


![[致富经]王雪莲:女老板不做房产养兔子年赚千万](https://img.nczfj.com/d/file/2015-05/2/20155285569837385.jpg)
![不钻泥的台湾大泥鳅养殖效益高 [每日农经]](https://img.nczfj.com/d/file/2014-05/2/2014051111513621139.jpg)

![[生财有道野兔]赵克贵:野兔养殖生出发家财](https://img.nczfj.com/d/file/2013-07/2/20137972008925.jpg)
![[致富经]苏珍芳:在荒山上养鸡年赚百万](https://img.nczfj.com/d/file/2015-06/2/2015626131197425.jpg)





